Pine Tree Ranch West Homeowners Association

Copyright ©2013-2026     Pine Tree Ranch West Homeowners Association      All Rights Reserved.
Please contact the webmaster for any website problems.



Home News Meetings Minutes Plat Maps Links Government Info Utilities Contacts Documents Education Classes

Plat Maps


All the maps are in jpeg format and can be easily enlarged in any photo viewer.

Map 1 -   Phase 1 - 29 lots

Map 1a - Phase 1 - better look at lot lines

Map 2 -   Phase 2 - 15 lots

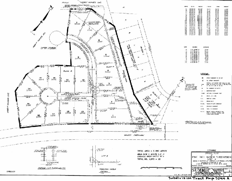
Map 3 -   Phase 3 - 19 lots

Map 3a - Phase 3 - lots of specifications

Map 3b - Phase 3 - more & easier to see specifications

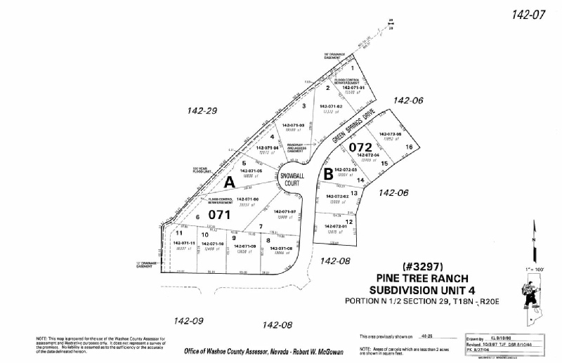
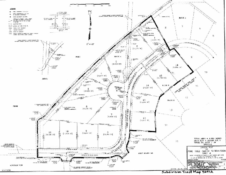
Map 4 -   Phase 4 - 16 lots

Map 4a - Phase 4 - lots of specifications

Map 4b - Phase 4 - easier to see specifications

Map 5 -  Phase 5 - 7 lots

Map 6 -  Phase 6 - 14 lots